首頁 →    →本頁
訪客分享

源氏聾突蛉蟋 Amusurgus  genji

Amusurgus  genji

↑源氏聾突蛉蟋 Amusurgus genji

(草蟋)  

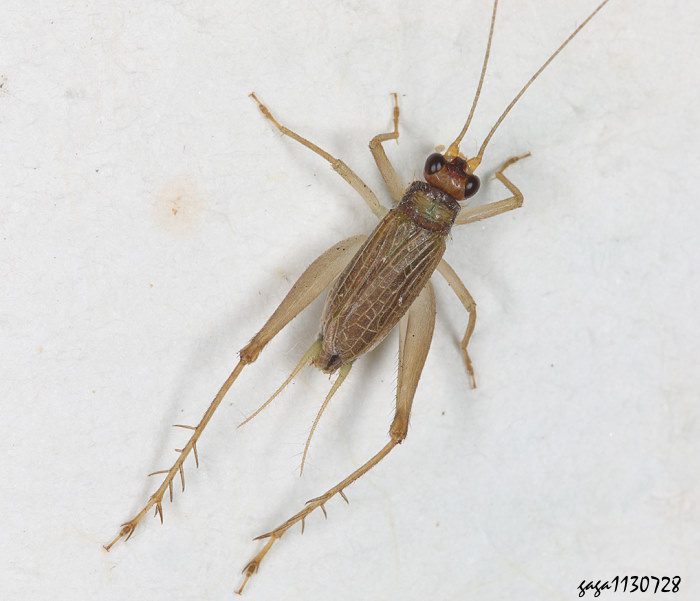
型態描述: 體長7.2mm,體色淡褐色,頭部褐色,胸背板無縱斑,邊緣框黑褐色,中央具多條橫紋,翅脈格子狀。

本屬目前台灣名錄沒有,國外網站香港有多筆紀錄,本種紀錄於1000公尺左右山區,稀少。

源氏聾突蛉蟋 Amusurgus genji

↑源氏聾突蛉蟋 Amusurgus genji

↑源氏聾突蛉蟋 Amusurgus genji,頭部褐色,胸背板無縱斑,邊緣框黑褐色,中央具多條橫紋。

 

 

 

 

 


 


回主題頁


本頁建製2024年07月27日     更新2024/07/30        網頁、攝影:嘎嘎          版權說明         首頁